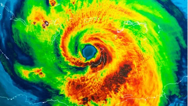
טורנדו קטלני פגע בארצות הברית: לפחות 15 מתים - אייס
הסופה עברה דרך טקסס, ארקנסו, קאנטקי ואוקלהומה וצפויה להמשיך מאזור אלבמה לכיוון מזרח ארצות הברית ו...

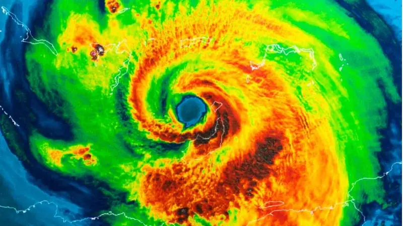
טורנדו קטלני פגע בארצות הברית: לפחות 15 מתים - אייס
הסופה עברה דרך טקסס, ארקנסו, קאנטקי ואוקלהומה וצפויה להמשיך מאזור אלבמה לכיוון מזרח ארצות הברית ו...
עבור לכתבה המלאה
לכתבה המלאה
מצאתם בעיה באתר? יש לכם תוכן מעניין לשלוח לנו?
